Lazy pod Makytou – Rekreačný pozemok na chatku / mobilný domček
3331x zobrazená v zozname / 206x zobrazená detailne / 206x zobrazená detailne tento mesiac
Spoločnosť Slovak Estate s.r.o. ponúka na predaj pozemok na reakreaciu v podiele 1/1 v katastrálnom území Lazy pod Makytou, okres Púchov.
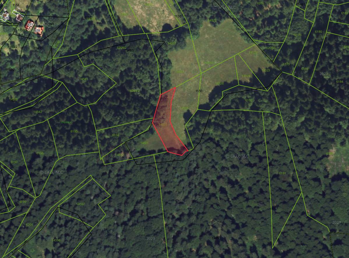
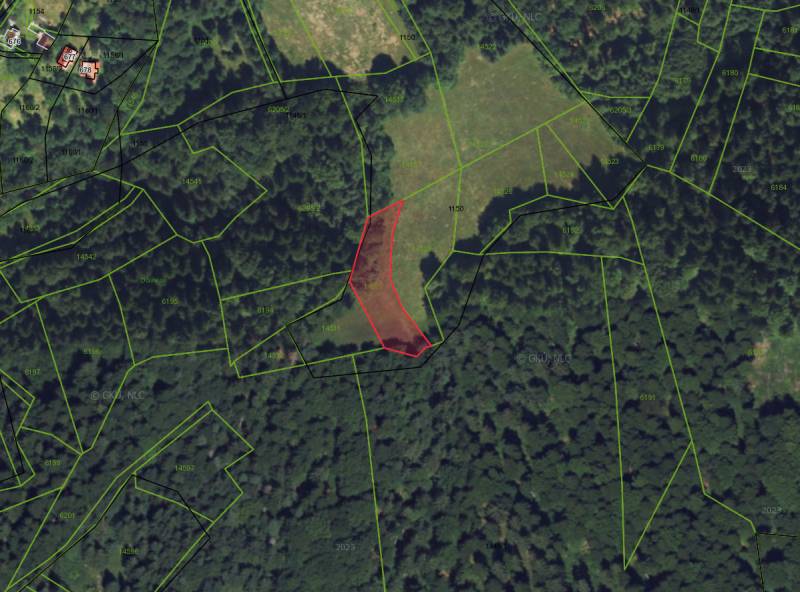
– Predávaný pozemok – parc. reg. „E“ 14529 je evidovaná na liste vlastníctva č. 2438 pre katastrálne územie Lazy pod Makytou, pričom na liste vlastníctva je vedená ako Orná pôda.
– Celková výmera pozemku je 1.836 m2.
– Pozemok má nepravidelný tvar, priemerná šírka je cca 20m.
– Pozemok je prístupný po lesných cestách.
– Mapu s vyznačením parcely možno nájsť v galérii inzerátu, medzi fotografiami.
– GPS súradnice na pozemok: , . Obhliadku možno realizovať kedykoľvek samostatne.
– Pozemok je nezaťažený a dostupný ihneď. Uvedená cena je konečná a zahŕňa kompletný právny servis vrátane prípravy kúpnych zmlúv, vklad do katastra nehnuteľností a správne poplatky.
Podrobné informácie k poľnohospodárskym a lesným pozemkom na predaj
| Rozloha pozemku | 1836 m² |
|---|---|
| Poschodie | prízemie |
| Status | aktívne |
|---|
Lazy pod Makytou – Rekreačný pozemok na chatku / mobilný domček - Vývoj ceny
Ďalšie poľnohospodárske pôdy Lazy pod Makytou na predaj
Predaj Poľnohospodárske a lesné pozemky
12919 m2
Púchov
13.000,- €
Predaj Poľnohospodárske a lesné pozemky
25490 m2
Púchov
17.400,- €
Predaj Poľnohospodárske a lesné pozemky
2382 m2
Púchov
Cena v RK
Predaj Poľnohospodárske a lesné pozemky
11394 m2
Púchov
18.000,- €
Predaj Poľnohospodárske a lesné pozemky
2222 m2
Púchov
33.990,- €
Predaj Poľnohospodárske a lesné pozemky
1601 m2
Púchov
1.500,- €
Predaj Poľnohospodárske a lesné pozemky
8714 m2
Púchov
12.500,- €
Predaj Poľnohospodárske a lesné pozemky
2354 m2
Púchov
12.000,- €
Predaj Poľnohospodárske a lesné pozemky
14537 m2
Púchov
12.600,- €
Predaj Poľnohospodárske a lesné pozemky
3642 m2
Púchov
7.300,- €
Predaj Poľnohospodárske a lesné pozemky
20418.11 m2
Púchov
20.000,- €
Predaj Poľnohospodárske a lesné pozemky
20698.99 m2
Púchov
17.500,- €
Predaj Poľnohospodárske a lesné pozemky
4126 m2
Púchov
6,- €/m2
Predaj Poľnohospodárske a lesné pozemky
1846 m2
Púchov
4.000,- €
Predaj Poľnohospodárske a lesné pozemky
5262 m2
Púchov
7.500,- €
Hodnotenie ponuky - Lazy pod Makytou – Rekreačný pozemok na chatku / mobilný domček
Analýza ponuky pozemkov v lokalite Lazy pod Makytou, Púchov
V lokalite Lazy pod Makytou, okres Púchov je na ZoznamRealit.Sk 12 pozemkov na predaj.
Najdrahšia ponuka stojí 33.990,- € na predaj a najlacnejšia ponuka pozemku pre lokalitu Lazy pod Makytou 1.500,- €.
V okrese Púchov pôsobí a na ZoznamRealit.Sk inzeruje 1 realitná kancelária, ktoré sú zároveň Overeným členom ZRKS.
